El Panteón Nacional de Venezuela conmemora este 28 de octubre 150 años desde su inauguración oficial, consolidándose como el recinto más sagrado de la nación. Abrió...
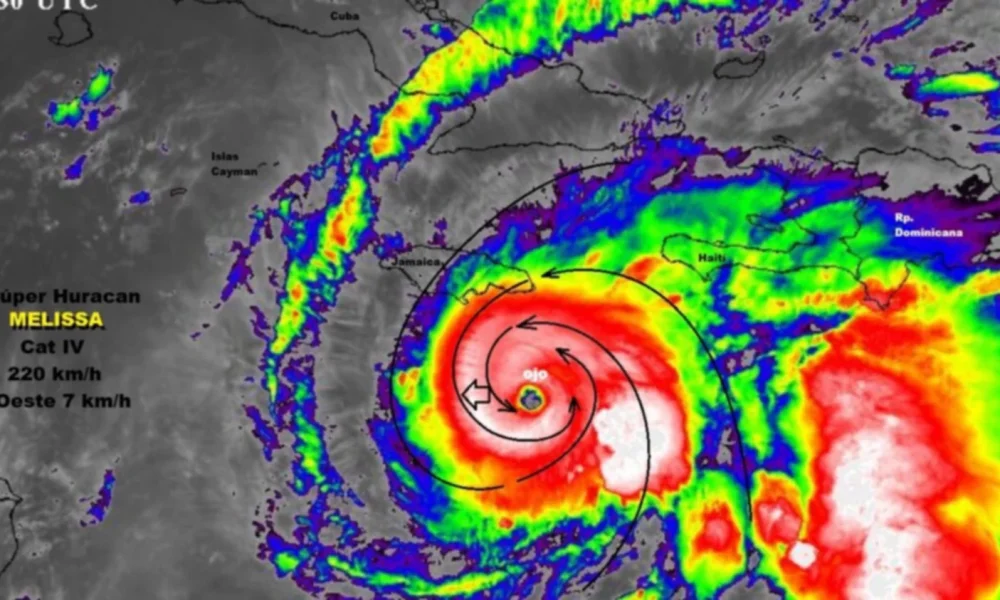
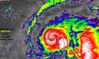
La inminente llegada del huracán Melissa, que ha alcanzado la categoría 5 en la escala Saffir-Simpson, ya ha cobrado vidas en Jamaica antes de tocar tierra....
El Servicio Administrativo de Identificación, Migración y Extranjería (SAIME) ha anunciado la habilitación de dos nuevos trámites en línea, buscando facilitar la gestión de documentos para...
El presidente de la República, Nicolás Maduro, anunció la suspensión del convenio gasífero que mantenía Venezuela con Trinidad y Tobago. Esta decisión se toma tras la...
Ante el creciente uso de bolívares y divisas en formato digital durante el último semestre, la banca ha continuado adaptando sus instrumentos de pago. En este...
En un encuentro que pasó a la historia de las Grandes Ligas, los Dodgers de Los Ángeles consiguieron una agónica victoria por 6-5 sobre los Azulejos...
Amazon informó que eliminará 14.000 empleos corporativos a lo largo de este año, marcando una nueva ronda de despidos masivos. La decisión se enmarca en una...
Con la Serie Mundial 2025 de la MLB empatada 1-1, el Clásico de Otoño se prepara para su tercer capítulo. El tan esperado Juego 3 se...
El huracán Melissa ha continuado un proceso de rápida intensificación en las últimas horas, alcanzando la temible categoría 4 en la escala Saffir-Simpson y consolidándose como...
– El Santiago Bernabéu fue testigo de un vibrante y polémico Clásico que culminó con una ajustada, pero merecida, victoria del Real Madrid sobre el FC...
Comentarios